HOME     About     STEWARDSHIP     EDUCATION     CONTACT US



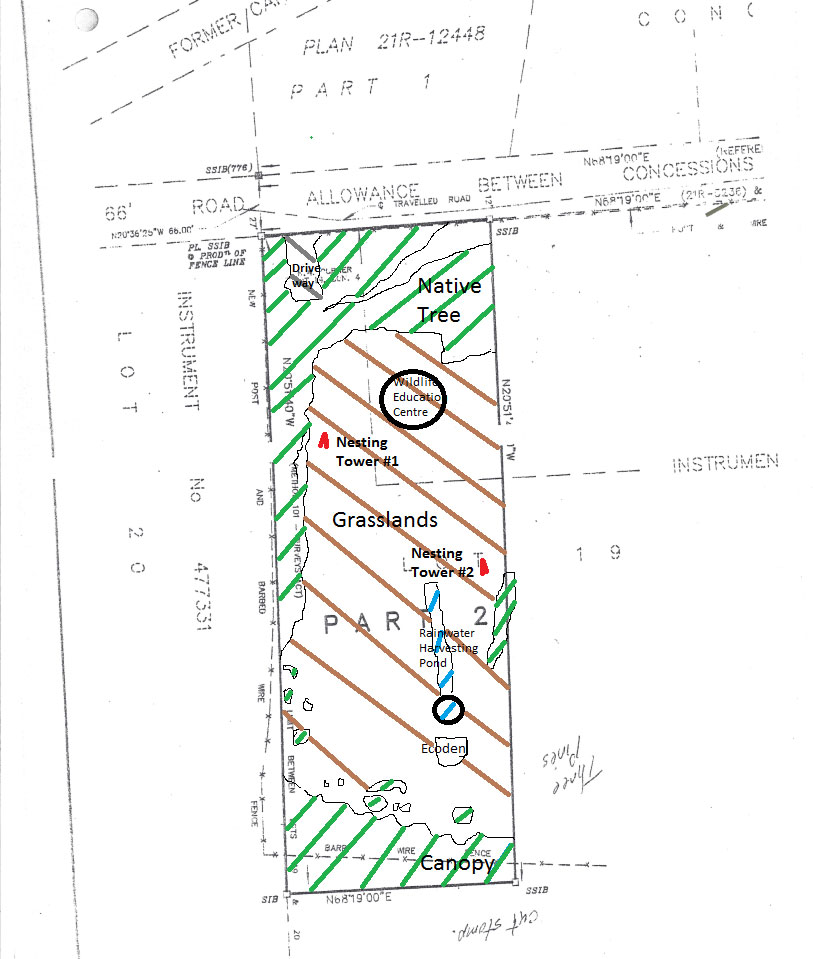
Urban Ecosystems is an DFA educational initiative, designed to help teach individuals in urban centres the ecological and ethical importance that animals play in the stewardship of the natural ecology of the Deciduous landscape and that the centre of environmental preservation must have a focus on maintaining the natural wildlife through habitat conservation, creation & restoration, in addition to protecting the health of the native ecosystems and ecology that they depend on.

To make a direct difference for the conservation of deciduous wildlife and habitat they depend on, we use both education and direct acts of stewardship to make a difference. Through hands-on educational outreach to individuals in the Southern Ontario region and ecological enhancements on the Urban Ecosystems Nagaratnum Sivarama Wildlife Refuge for rescued reintroduced wildlife – we attempt to make a difference.





STEWARDSHIP 












EDUCATION













CONTACT US











Copyright Urban Ecosystems 2023 ©